Por EFE
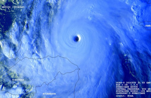
Honduras recuerda el devastador paso del huracán Mitch, un potente meteoro de categoría cinco, que dejó una estela de muerte y destrucción en Centroamérica hace 20 años. Los daños fueron mayores en Honduras, país que ahora figura entre los primeros más vulnerables del mundo.
La última semana de octubre y la primera de noviembre de 1998 marcaron la peor tragedia sufrida por Honduras en su historia, causada por el poderoso huracán Mitch, que dejó alrededor de 6.000 muertos, pérdidas económicas por más de US$4.000 millones, más de un millón de damnificados y muchos desaparecidos.
Luego de un recorrido errático y lento, con vientos de más de 250 kilómetros por hora por el Caribe centroamericano, un día como hoy el huracán se estacionaba en la isla de Guanaja, en el Caribe hondureño, debido a otros dos fenómenos hacia el norte y un frente frío al sur de Cuba, según explicaban entonces fuentes meteorológicas.
Después de un día sobre Guanaja, primer territorio de Honduras descubierto el 30 de julio de 1502 por Cristóbal Colón en su último viaje a América, a la que bautizó como 'Isla de pinos', según apuntes históricos, y cuando se creía que el huracán seguiría en ruta hacia Yucatán, México, en dirección oeste, bajó hacia el sur.
El fenómeno avanzó hacia la costa caribeña de Honduras y al entrar a tierra firme se degradó a tormenta tropical, siempre con fuertes lluvias, y se creyó que saldría por el sur en el Pacífico.
Eso no sucedió, sino que la tormenta enfiló por la región sur y occidental, fronteriza con El Salvador y se internó en Guatemala, dejando también muchos daños en esos dos países centroamericanos.
El entonces presidente de Honduras, Carlos Flores, quien hacía nueve meses había asumido el poder, recordó el martes el paso del Mitch diciendo al Canal 5 de la televisión local que los daños que dejó 'no solo fueron en una ciudad o una zona, sino que se paseó por todo el país. No hubo punto o rincón que no tocase el huracán'.
'Quedamos como si se tratase de un rompecabezas, diseminado en cientos de pedazos. Los damnificados sumaron 1,4 millones de personas, casi el 25 por ciento de la población', enfatizó Flores, quien a mediados de noviembre de 1998 dijo que para Honduras el siglo XX había terminado con el huracán Mitch.
Del huracán Mitch todavía hay huellas en Honduras, como un pedazo de pared que asoma de la fachada de lo que fue la iglesia del pueblo de Morolica, que quedó sepultado bajo escombros por la descomunal crecida del río que lo cruzaba en el sureño departamento de Choluteca.
Así nació la Nueva Morolica, que sus habitantes, con ayuda propia, estatal y de la comunidad internacional, levantaron en un sitio cercano más alto para evitar que otro fenómeno les pueda causar daños.
En Santa Rosa de Aguán, departamento de Colón, en el Caribe, el fenómeno provocó que un río partiera su suelo y al bajar las aguas su gente se enteró que había surgido una isla que no tenían.
En Pespire, pintoresco pueblo del departamento de Choluteca, sur, entre otros daños una buena parte del cementerio fue arrastrada, lo que dejó a muchos de sus habitantes sin las tumbas de sus muertos.
La capital hondureña quedó paralizada por los destrozos y con un gran dique en el centro causado por un derrumbe que corto el paso del río Choluteca que divide a Tegucigalpa con su ciudad gemela de Comayagüela, a la que no se podía cruzar.
Honduras quedó incomunicada por vía terrestre, con casi todos sus principales carreteras destruidas, y sus montañas, de las que en muchas ya había desforestación, heridas por la descomunal cantidad de agua que bajó de ellas en dos semanas.
A 20 años del huracán Mitch, pareciera que entre los hondureños, principalmente la clase política gobernante, el fenómeno no dejó ninguna lección porque el país no está preparado para otro huracán de grandes proporciones.
Ahora una tormenta de una hora en ciudades importantes como Tegucigalpa, San Pedro Sula y Choluteca, en el centro, norte y sur, por ejemplo, crea un caos por las inundaciones.
Los hondureños sufren además los efectos del cambio climático, con un verano que cuando es muy prolongado afecta los cultivos agrícolas y otros sectores productivos, y cuando llueve mucho también.
En el sur del país, muchos pobladores se están recuperando ahora de los daños causados por las lluvias de las últimas semanas, lo que ha revivido entre algunos hondureños el paso del Mitch hace 20 años.
Honduras recuerda el devastador paso del huracán Mitch, un potente meteoro de categoría cinco, que dejó una estela de muerte y destrucción en Centroamérica hace 20 años. Los daños fueron mayores en Honduras, país que ahora figura entre los primeros más vulnerables del mundo.
La última semana de octubre y la primera de noviembre de 1998 marcaron la peor tragedia sufrida por Honduras en su historia, causada por el poderoso huracán Mitch, que dejó alrededor de 6.000 muertos, pérdidas económicas por más de US$4.000 millones, más de un millón de damnificados y muchos desaparecidos.
Luego de un recorrido errático y lento, con vientos de más de 250 kilómetros por hora por el Caribe centroamericano, un día como hoy el huracán se estacionaba en la isla de Guanaja, en el Caribe hondureño, debido a otros dos fenómenos hacia el norte y un frente frío al sur de Cuba, según explicaban entonces fuentes meteorológicas.
Después de un día sobre Guanaja, primer territorio de Honduras descubierto el 30 de julio de 1502 por Cristóbal Colón en su último viaje a América, a la que bautizó como 'Isla de pinos', según apuntes históricos, y cuando se creía que el huracán seguiría en ruta hacia Yucatán, México, en dirección oeste, bajó hacia el sur.
El fenómeno avanzó hacia la costa caribeña de Honduras y al entrar a tierra firme se degradó a tormenta tropical, siempre con fuertes lluvias, y se creyó que saldría por el sur en el Pacífico.
Eso no sucedió, sino que la tormenta enfiló por la región sur y occidental, fronteriza con El Salvador y se internó en Guatemala, dejando también muchos daños en esos dos países centroamericanos.
El entonces presidente de Honduras, Carlos Flores, quien hacía nueve meses había asumido el poder, recordó el martes el paso del Mitch diciendo al Canal 5 de la televisión local que los daños que dejó 'no solo fueron en una ciudad o una zona, sino que se paseó por todo el país. No hubo punto o rincón que no tocase el huracán'.
'Quedamos como si se tratase de un rompecabezas, diseminado en cientos de pedazos. Los damnificados sumaron 1,4 millones de personas, casi el 25 por ciento de la población', enfatizó Flores, quien a mediados de noviembre de 1998 dijo que para Honduras el siglo XX había terminado con el huracán Mitch.
Del huracán Mitch todavía hay huellas en Honduras, como un pedazo de pared que asoma de la fachada de lo que fue la iglesia del pueblo de Morolica, que quedó sepultado bajo escombros por la descomunal crecida del río que lo cruzaba en el sureño departamento de Choluteca.
Así nació la Nueva Morolica, que sus habitantes, con ayuda propia, estatal y de la comunidad internacional, levantaron en un sitio cercano más alto para evitar que otro fenómeno les pueda causar daños.
En Santa Rosa de Aguán, departamento de Colón, en el Caribe, el fenómeno provocó que un río partiera su suelo y al bajar las aguas su gente se enteró que había surgido una isla que no tenían.
En Pespire, pintoresco pueblo del departamento de Choluteca, sur, entre otros daños una buena parte del cementerio fue arrastrada, lo que dejó a muchos de sus habitantes sin las tumbas de sus muertos.
La capital hondureña quedó paralizada por los destrozos y con un gran dique en el centro causado por un derrumbe que corto el paso del río Choluteca que divide a Tegucigalpa con su ciudad gemela de Comayagüela, a la que no se podía cruzar.
Honduras quedó incomunicada por vía terrestre, con casi todos sus principales carreteras destruidas, y sus montañas, de las que en muchas ya había desforestación, heridas por la descomunal cantidad de agua que bajó de ellas en dos semanas.
A 20 años del huracán Mitch, pareciera que entre los hondureños, principalmente la clase política gobernante, el fenómeno no dejó ninguna lección porque el país no está preparado para otro huracán de grandes proporciones.
Ahora una tormenta de una hora en ciudades importantes como Tegucigalpa, San Pedro Sula y Choluteca, en el centro, norte y sur, por ejemplo, crea un caos por las inundaciones.
Los hondureños sufren además los efectos del cambio climático, con un verano que cuando es muy prolongado afecta los cultivos agrícolas y otros sectores productivos, y cuando llueve mucho también.
En el sur del país, muchos pobladores se están recuperando ahora de los daños causados por las lluvias de las últimas semanas, lo que ha revivido entre algunos hondureños el paso del Mitch hace 20 años.