Claves del día

EEUU: Evacuaciones y miedo cuando se aproxima huracán Ida de categoría 4

Esta es la situación que se vive en Luisiana y otras ciudades cercanas. Los negocios tapiaron puertas y ventanas y los residentes evacuaron masivamente.

2021-08-29

Por AFP

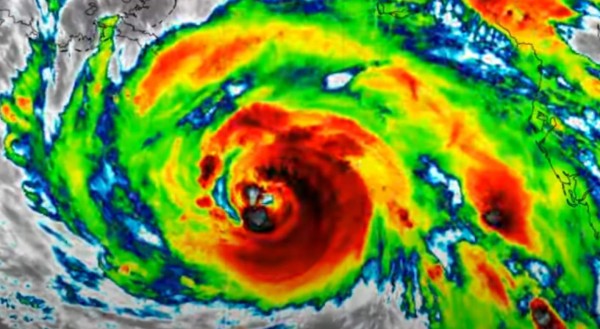
El huracán Ida de categoría 4 avanzaba el domingo hacia el estado de Luisiana con vientos máximos sostenidos de 225 km/hora, desatando evacuaciones masivas en esta región del sur de Estados Unidos que aún recuerda con horror el embate de Katrina en 2005.

Se espera que 'el centro de Ida continúe moviéndose a través del norte central del Golfo de México esta mañana, y toque tierra a lo largo de la costa de Luisiana esta tarde o noche', escribió el Centro Nacional de Huracanes en su último boletín.

El huracán producirá una 'marejada ciclónica potencialmente mortal, daños potencialmente catastróficos e inundaciones por lluvias', añadió.

Los negocios tapiaron puertas y ventanas y los residentes evacuaron masivamente de Nueva Orleans y de otras ciudades de Luisiana.

Imágenes publicadas en las redes sociales y en los canales de noticias estadounidenses mostraban gran número de personas en el aeropuerto a la espera de embarcar y largas filas de coches atascados en las carreteras para salir de la ciudad.

Residents drive north (R) on Interstate Highway 55 near Magnolia, Mississippi, as they evacuate away from New Orleans on August 28, 2021, before the arrival of Hurricane Ida. - Authorities in Louisiana and elsewhere on the US Gulf Coast issued increasingly dire sounding warnings Saturday as Hurricane Ida, a storm expected to pack powerful 130mph (209kph) winds, moved with unexpected speed toward the New Orleans area. (Photo by Patrick T. FALLON / AFP)

'Todo el mundo está asustado porque es el aniversario de Katrina y la gente no lo tomó en serio en ese entonces', dijo Austin Suriano, que ayudó a clausurar las ventanas del taller de reparación de relojes de su padre.

Este domingo, se cumplirá el decimosexto aniversario de Katrina, el devastador huracán que inundó el 80% de Nueva Orleans, dejando 1.800 muertos y miles de millones de dólares en daños.

El presidente estadounidense, Joe Biden, advirtió que 'Ida se está transformando en una tormenta muy muy peligrosa'.

'El tiempo no está de nuestro lado'

El gobernador del estado, John Bel Edwards, dijo que sería una de las mayores tormentas en golpear Estados Unidos desde la década de 1850.

En Nueva Orleans, la alcaldesa LaToya Cantrell advirtió a los residentes que se tomen a Ida con la mayor seriedad. 'El tiempo no está de nuestro lado', dijo el sábado. La tormenta 'está creciendo rápidamente, se está intensificando'.

El sur de Luisiana se prepara para daños masivos e inundaciones, con lluvias de hasta 50 cm pronosticadas en algunos lugares, mientras la tormenta ruge a través del Golfo después de azotar el oeste de Cuba.

'La pérdida prolongada de energía es casi segura', dijo el sábado a la prensa el director de seguridad de Nueva Orleans, Collin Arnold. 'Imploro que se tomen esta tormenta en serio'.

Biden dijo haber enviado cientos de efectivos de emergencia a la región, junto con alimentos, agua y generadores eléctricos.

También se han estado disponiendo refugios, pero Luisiana ha sido uno de los estados más golpeados por la pandemia, por lo que Biden urgió a seguir usando tapabocas y tomar precauciones.

El Servicio Meteorológico Nacional de Estados Unidos pronostica que la marejada ciclónica puede alcanzar los 3,5 metros en Nueva Orleans y cinco metros en torno a la boca del río Misisipi cuando el huracán toque tierra.

La categoría 4 es la segunda más alta en la escala Saffir-Simpson de huracanes.

La declaración de estado de emergencia en Luisiana, aprobada por Biden, canalizará fondos federales y ayudará al estado a reforzar sus esfuerzos de preparación y respuesta ante emergencias.

El huracán tocó tierra el viernes por la noche en el oeste de Cuba con categoría 1, con vientos máximos sostenidos cercanos a 128 km por hora.

La tormenta derribó árboles, dañó techos y provocó la caída de líneas eléctricas, causando cortes generalizados de energía, informó el sitio web del diario oficial Granma.

'Doloroso' aniversario

Las advertencias sobre la llegada de Ida inevitablemente despiertan recuerdos sobre el funesto paso de Katrina, declaró Edwards en conferencia de prensa.

'Es doloroso pensar que otra poderosa tormenta como el huracán Ida toque tierra en este aniversario', declaró el gobernador de Luisiana.

La gran diferencia es que desde entonces se realizó una fuerte inversión en un sistema de protección compuesto por diques, compuertas y bombas.

La semana pasada, una inusual tormenta tropical azotó la costa noreste de Estados Unidos, dejando sin electricidad a miles de habitantes, arrancando árboles y provocando lluvias de un volumen récord.

Los científicos han advertido sobre un aumento en la cantidad de ciclones fuertes a medida que la superficie del océano se calienta debido al cambio climático, lo que representa una amenaza cada vez mayor para las comunidades costeras del mundo.

12 ejemplares al año por $75

SUSCRIBIRSE