POR AFP
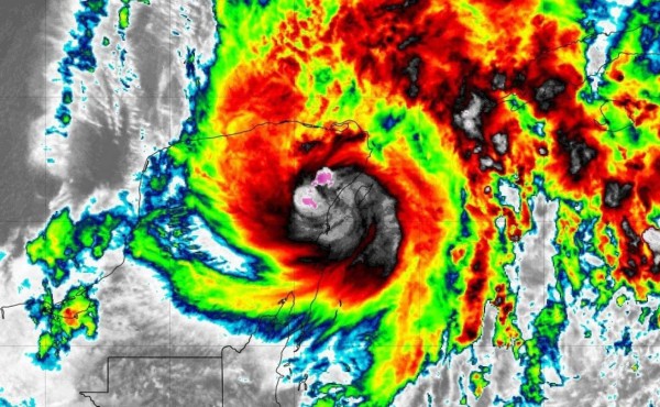
La tormenta tropical Gamma se encuentra sobre la península de Yucatán en México (sureste), donde provoca intensas lluvias y podría convertirse en huracán este sábado, informó en su último reporte el Centro Nacional de Huracanes de Estados Unidos (NHC, por sus siglas en inglés).
El centro de la tormenta 'tocó tierra en el noreste de Yucatán Península cerca de Tulum, México' hacia las 11H45 locales (16H45 GMT) de este sábado, indicó el NHC.
Gamma entró en territorio mexicano con vientos sostenidos de 110 km/h, y 'está muy cerca' de convertirse en huracán y mantenerse en esa categoría mientras 'se mueva tierra adentro sobre la Península de Yucatán', advirtió el NHC.
Por su parte, el Servicio Meteorológico Nacional (SMN) de México emitió una alerta de 'prevención por efectos de huracán desde Punta Allen hasta Cancún, incluyendo Cozumel, Quintana Roo'.
El SMN dijo en un comunicado que prevé 'lluvias puntuales extraordinarias' para la mayor parte de la península de Yucatán, aunque por el momento son de moderadas a intensas, indicó en Twitter la oficina de Protección Civil.
'No salgan de casa, eviten las compras de pánico', escribió en Twitter Carlos Joaquín, gobernador de Quintana Roo.
Por su ubicación geográfica, con amplios litorales tanto en el Atlántico como en el Pacífico, México es uno de los países más vulnerables a este tipo de fenómenos, con al menos una decena de tormentas al año con potencial de convertirse en ciclón o huracán.
La tormenta tropical Gamma se encuentra sobre la península de Yucatán en México (sureste), donde provoca intensas lluvias y podría convertirse en huracán este sábado, informó en su último reporte el Centro Nacional de Huracanes de Estados Unidos (NHC, por sus siglas en inglés).
El centro de la tormenta 'tocó tierra en el noreste de Yucatán Península cerca de Tulum, México' hacia las 11H45 locales (16H45 GMT) de este sábado, indicó el NHC.
Gamma entró en territorio mexicano con vientos sostenidos de 110 km/h, y 'está muy cerca' de convertirse en huracán y mantenerse en esa categoría mientras 'se mueva tierra adentro sobre la Península de Yucatán', advirtió el NHC.
Por su parte, el Servicio Meteorológico Nacional (SMN) de México emitió una alerta de 'prevención por efectos de huracán desde Punta Allen hasta Cancún, incluyendo Cozumel, Quintana Roo'.
El SMN dijo en un comunicado que prevé 'lluvias puntuales extraordinarias' para la mayor parte de la península de Yucatán, aunque por el momento son de moderadas a intensas, indicó en Twitter la oficina de Protección Civil.
'No salgan de casa, eviten las compras de pánico', escribió en Twitter Carlos Joaquín, gobernador de Quintana Roo.
Por su ubicación geográfica, con amplios litorales tanto en el Atlántico como en el Pacífico, México es uno de los países más vulnerables a este tipo de fenómenos, con al menos una decena de tormentas al año con potencial de convertirse en ciclón o huracán.