Claves del día

Avianca suspende sus vuelos a Florida

Avianca suspenderá 27 vuelos desde y hacia aeropuertos del estado de la Florida por la alerta provocada por el Huracán Matthew. Afectará conexiones desde Colombia, Perú, El Salvador, Nicaragua, Honduras y Guatemala

2016-10-05



Por estrategiayengocios.net

Avianca anunció que cancelará sus vuelos hacia el estado de Florida, debido a la inminente llegada del Huracán Matthew.

Según un comunicado de la aerolínea, en cumplimiento de los protocolos de seguridad establecidos ante estos fenómenos climáticos, 'Avianca se ve en la obligación de cancelar los vuelos originados en Colombia, Perú, El Salvador, Nicaragua, Honduras y Guatemala con destino a los Aeropuertos de Miami y Fort Lauderdale-Hollywood'.

La cancelación será efectiva para los días 6 y 7 de octubre. El comunicado destaca que los vuelos con destino a Orlando serán cancelados el viernes 7 de octubre. De igual forma, durante estos dos días se cancelan los vuelos saliendo de estas tres ciudades a otros destinos.

Asimismo, notificó que exonerará del pago de penalidad a los viajeros afectados por cambio en la fecha de sus viajes debido a la peristencia del mal clima.

'A las personas con reserva en los vuelos cancelados. Para hacer uso de esta excepción, los viajeros tienen como fecha máxima de reacomodación hasta el 7 de noviembre de 2016. Dicha reubicación se hará de acuerdo con la disponibilidad de cupos en los vuelos de itinerario', puntualiza el comunicado.

El cese temporal de operaciones se suma al anuncio que hiciera American Airlines, la cual concentra también un buen número de llegadas desde América Latina en esos mismos aeropuertos.

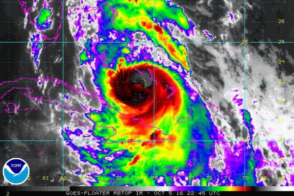
El poderoso huracán Matthew azotaba este miércoles en la tarde a las Bahamas con vientos de casi 200 km/h y torrenciales lluvias, tras dejar nueve muertos en Haití y República Dominicana, y grandes daños en la ciudad más antigua de Cuba.

'Matthew se moverá a través de las Bahamas esta noche y mañana (jueves), y se espera que esté muy cerca de la costa este de Florida mañana en la noche', informó el Centro Nacional de Huracanes (NHC) de Estados Unidos, con sede en Miami, en su boletín de las 21h00 GMT.

'Algún fortalecimiento es pronosticado durante los próximos días, y Matthew se espera que permanezca como huracán de categoría 3 o más fuerte (en una escala de uno a cinco) mientras se mueve a traves de las Bahamas y se acerca a la costa este de Florida', añadió.

Estados Unidos, con el recuerdo fresco del destructor huracán Sandy en 2012 (de categoría 3), ordenó las primeras evacuaciones en los estados meridionales de la costa este, en previsión de la llegada del ciclón la noche del jueves.

12 ejemplares al año por $75

SUSCRIBIRSE