Por AFP
Michael James está tapiando las últimas dos ventanas de su casa frente a la costa este de Florida. Los primeros vientos del huracán Dorian comienzan a soplar y todo el mundo ya se ha ido. él ha vivido varios y sabe que aún tiene unas horas.
'¿Adivina qué?', dice. 'Un huracán de verdad es muy distinto a lo que ve la gente en televisión. Es mucho peor'.
De 63 años, James recuerda que quedó atrapado en dos huracanes cuando trabajaba en las plataformas petroleras del Golfo de México en la década de 1980.
En televisión 'no llegas a entender el concepto. No llegas a entender la velocidad de los vientos, ni nada'.
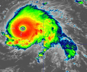
Tras impactar con casi 300 km por hora en las islas ábaco de las Bahamas, Dorian bajó a categoría 4 este martes en su lento desplazamiento hacia el este de Florida. Ante la seria amenaza que representa, los residentes seguían la noticia con ansiedad y la esperanza de que la poderosa tormenta haga un posible viraje hacia el norte y no toque tierra.
En Port Saint Lucie, la ciudad costera que estará más próxima a la trayectoria del huracán entre la noche del martes y el miércoles, conocen los pasos a tomar. Muchos negocios ya estaban cerrados y los refugios de la zona comenzaban a llenarse a medida que el cielo se ponía cada vez más lúgubre.
Los barrios de casas rodantes en la ribera del río Indian estaban desiertos y las frágiles construcciones torpemente protegidas. Pero muchos se tomaban la tormenta con humor, porque ya saben qué esperar.
Stacey Ewers rompe en una carcajada. '¡Que disfruten la experiencia!', dice. 'La parte difícil es limpiar, después. No la tormenta'.
De 56 años, Ewers lleva 35 viviendo en Florida y ha perdido la cuenta de los huracanes que ha vivido.
'Estoy un poco nerviosa, pero bien', comentó a la AFP.
La costa este de Florida está protegida por 'islas barrera', islotes alargados que corren a lo largo de la costa. Los residentes de las islas tienen órdenes de evacuación obligatoria y la policía comenzaba a hacer los preparativos para cerrar los puentes que les dan acceso.
Algunos aprovechaban hasta el último momento para ir a ver al mar antes de que las islas queden incomunicadas.
El oleaje, fuerte y agitado, presagia el huracán que se avecina y que devastó el domingo las Bahamas, un archipiélago en el Atlántico donde este lunes Dorian parecía haberse estacionado.
La bruma borraba el horizonte, la lluvia era intermitente y la arena bailaba con el viento.
'Es hermoso. No sé si viene o no viene, pero lo estoy disfrutando', comentó Jed Guty, un colombiano que no quiso decir su edad porque es 'muy viejo', según dijo riendo. 'He pasado por varios, pero nunca había venido a la playa. La arena, el viento... es glorioso'.
Michael James está tapiando las últimas dos ventanas de su casa frente a la costa este de Florida. Los primeros vientos del huracán Dorian comienzan a soplar y todo el mundo ya se ha ido. él ha vivido varios y sabe que aún tiene unas horas.
'¿Adivina qué?', dice. 'Un huracán de verdad es muy distinto a lo que ve la gente en televisión. Es mucho peor'.
De 63 años, James recuerda que quedó atrapado en dos huracanes cuando trabajaba en las plataformas petroleras del Golfo de México en la década de 1980.
En televisión 'no llegas a entender el concepto. No llegas a entender la velocidad de los vientos, ni nada'.
Tras impactar con casi 300 km por hora en las islas ábaco de las Bahamas, Dorian bajó a categoría 4 este martes en su lento desplazamiento hacia el este de Florida. Ante la seria amenaza que representa, los residentes seguían la noticia con ansiedad y la esperanza de que la poderosa tormenta haga un posible viraje hacia el norte y no toque tierra.
En Port Saint Lucie, la ciudad costera que estará más próxima a la trayectoria del huracán entre la noche del martes y el miércoles, conocen los pasos a tomar. Muchos negocios ya estaban cerrados y los refugios de la zona comenzaban a llenarse a medida que el cielo se ponía cada vez más lúgubre.
Los barrios de casas rodantes en la ribera del río Indian estaban desiertos y las frágiles construcciones torpemente protegidas. Pero muchos se tomaban la tormenta con humor, porque ya saben qué esperar.
Lo peor llega después
¿Un consejo para quienes no han vivido antes un huracán?Stacey Ewers rompe en una carcajada. '¡Que disfruten la experiencia!', dice. 'La parte difícil es limpiar, después. No la tormenta'.
De 56 años, Ewers lleva 35 viviendo en Florida y ha perdido la cuenta de los huracanes que ha vivido.
'Estoy un poco nerviosa, pero bien', comentó a la AFP.
La costa este de Florida está protegida por 'islas barrera', islotes alargados que corren a lo largo de la costa. Los residentes de las islas tienen órdenes de evacuación obligatoria y la policía comenzaba a hacer los preparativos para cerrar los puentes que les dan acceso.
Algunos aprovechaban hasta el último momento para ir a ver al mar antes de que las islas queden incomunicadas.
El oleaje, fuerte y agitado, presagia el huracán que se avecina y que devastó el domingo las Bahamas, un archipiélago en el Atlántico donde este lunes Dorian parecía haberse estacionado.
La bruma borraba el horizonte, la lluvia era intermitente y la arena bailaba con el viento.
'Es hermoso. No sé si viene o no viene, pero lo estoy disfrutando', comentó Jed Guty, un colombiano que no quiso decir su edad porque es 'muy viejo', según dijo riendo. 'He pasado por varios, pero nunca había venido a la playa. La arena, el viento... es glorioso'.