Centroamérica & Mundo

¿Qué es un huracán de Categoría 5?

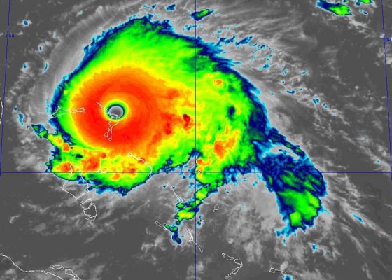
Dorian azotó con furia el norte de las islas Bahamas, siendo unos de los huracanes más violentos en tocar tierra en la historia. Es la quinta tormenta Categoría 5 que se forma en el Atlántico en los últimos cuatro años.

2019-09-01

Por AFP

El primer ministro de Bahamas, Hubert Minnis afirmó este domingo que su país se enfrentó, con la llegada de Dorian, a un huracán 'nunca visto'.

'Nos enfrentamos a un huracán (...) como no habíamos visto nunca en la historia de las Bahamas', dijo en una conferencia de prensa, en la que rompió a llorar. 'Probablemente sea el día más triste de mi vida', agregó.

El ciclón impactóa Bahamas desde el mediodía de este domingo con vientos cercanos a los 300 km/h, anunció el Centro Nacional de Huracanes (NHC) citando condiciones catastróficas en el noroeste del archipiélago.

¿Cuáles son las características de un ciclón Categoría 5 y sobre qué se puede esperar a medida que se intensifica el cambio climático?

¿Qué es Categoría 5?

Los científicos clasifican los huracanes en la escala Saffir-Simpson, que va de uno a cinco. Las tormentas de Categoría 5 registran vientos de al menos 250 km/hora.

Además de los vientos devastadores, las tormentas de Categoría 5 desencadenan marejadas catastróficas, causando inundaciones similares a las de un tsunami cuando tocan tierra.

Según el Centro Nacional de Huracanes, los vientos sostenidos de Dorian alcanzaron casi 300 km/hora, siendo la velocidad máxima registrada con que un ciclón del océano Atlántico toca tierra.

Dorian es la quinta tormenta de Categoría 5 que se forma en el Atlántico en los últimos cuatro años, el lapso más largo registrado con al menos una tormenta de la máxima categoría por año. El último tramo más largo fue de 2003 a 2005.

Tormentas grandes y pequeñas

Matthew, en 2016, fue el primer huracán Categoría 5 en el Atlántico desde 2007.

Otros recientes ciclones de la máxima categoría 5 incluyen a Irma, que azotó el Caribe y el sur de Estados Unidos en septiembre de 2017.

Katrina, que mató a más de 1.800 personas en la costa del Golfo de Estados Unidos en 2005, también alcanzó la Categoría 5.

En contraste, el huracán Florence, en septiembre de 2018, se debilitó a Categoría 1 antes de tocar tierra en Carolina del Norte y Carolina del Sur, aunque provocó fuertes lluvias y extensas inundaciones que causaron cortes de electricidad y grandes daños.

Tiempos violentos

En 2018, una serie de tormentas catastróficas, incluidas Florence y el huracán Michael -en octubre- dejaron decenas de muertos y provocaron daños por un total de 32.000 millones de dólares en Carolina del Norte, Carolina del Sur y Florida.

Michael fue la tormenta más fuerte que azotó Estados Unidos desde 1969.

En mayo, el servicio meteorológico NOAA proyectó para 2019 una temporada de huracanes en el Atlántico 'casi normal'.

No obstante, las autoridades exhortaron a los estadounidenses a prepararse, ya que más de 80 millones de personas viven en áreas de alto riesgo, incluso fuera de la costa.

Generalmente, las inundaciones provocadas por los huracanes causan más daños que los vientos.

¿Lo peor por venir?

Los científicos pronostican desde hace tiempo que el calentamiento global generará tormentas tropicales más destructivas, y algunos dicen que la evidencia de esto parece ya estar a la vista.

Los océanos más cálidos se suman al aire caliente y húmedo que alimenta a los huracanes, y el mayor nivel del mar aumenta las marejadas ciclónicas que pueden superar las barreras costeras.

12 ejemplares al año por $75

SUSCRIBIRSE