Por Telemundo
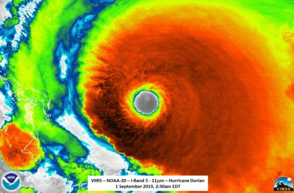
Dorian se fortaleció este domingo en un 'extremadamente peligroso' huracán Categoría 5 con vientos sostenidos de 160 mph mientras se acerca a Las Bahamas, según el boletín más reciente del Centro Nacional de Huracanes.
'El huracán debería acercarse a la costa este de Florida terminando el lunes o el martes por la noche', pronostica el organismo metereológico.
Se mantiene la vigilancia de tormenta tropical para el condado de Broward debido a que el cono de trayectoria del huracán se desplazó ligeramente hacia el sur. Sin embargo, el nuevo cono no incluye a Broward en su trayectoria.
La vigilancia de tormenta tropical abarca todo el condado de Broward y las aguas costa afuera de Miami y Homestead. Una advertencia de tormenta tropical está vigente para el Condado de Palm Beach.
Las autoridades advierten que incluso aunque su centro no toque tierra en territorio estadounidense y permanezca sobre el mar, es probable que la potente tormenta golpee las zonas costeras de Estados Unidos con vendavales e intenso oleaje.
El CNH estima que Dorian seguirá disminuyendo su velocidad y girará hacia el norte a medida que se acerca a la costa este de Florida, por lo que traería marejadas ciclónicas potencialmente mortales y peligrosos vientos huracanados.
Según el boletín del CNH de las 8 a.m., Dorian se encontraba a unas 55 millas al este de la Isla Gran ábaco de Bahamas y a unas 225 millas al este de West Palm Beach, Florida. La tormenta se mueve hacia el oeste a 8 mph.
Una advertencia de tormenta tropical está vigente desde el norte de Deerfield Beach hasta Sebastian Inlet en Florida. Una vigilancia de tormenta tropical está vigente desde el norte de Golden Beach hasta Deerfield Beach.
El huracán Dorian continúa acercándose poco a poco al noroeste de Bahamas con 'marejadas ciclónicas que amenazan la vida, vientos huracanados y fuertes lluvias', dijo el NHC.
Dorian se fortaleció este domingo en un 'extremadamente peligroso' huracán Categoría 5 con vientos sostenidos de 160 mph mientras se acerca a Las Bahamas, según el boletín más reciente del Centro Nacional de Huracanes.
'El huracán debería acercarse a la costa este de Florida terminando el lunes o el martes por la noche', pronostica el organismo metereológico.
Se mantiene la vigilancia de tormenta tropical para el condado de Broward debido a que el cono de trayectoria del huracán se desplazó ligeramente hacia el sur. Sin embargo, el nuevo cono no incluye a Broward en su trayectoria.
La vigilancia de tormenta tropical abarca todo el condado de Broward y las aguas costa afuera de Miami y Homestead. Una advertencia de tormenta tropical está vigente para el Condado de Palm Beach.
Las autoridades advierten que incluso aunque su centro no toque tierra en territorio estadounidense y permanezca sobre el mar, es probable que la potente tormenta golpee las zonas costeras de Estados Unidos con vendavales e intenso oleaje.
El CNH estima que Dorian seguirá disminuyendo su velocidad y girará hacia el norte a medida que se acerca a la costa este de Florida, por lo que traería marejadas ciclónicas potencialmente mortales y peligrosos vientos huracanados.
Según el boletín del CNH de las 8 a.m., Dorian se encontraba a unas 55 millas al este de la Isla Gran ábaco de Bahamas y a unas 225 millas al este de West Palm Beach, Florida. La tormenta se mueve hacia el oeste a 8 mph.
Advertencias activas
Una advertencia de huracán está vigente para el noroeste de Bahamas, excluyendo la isla de Andros. Así mismo, una vigilancia de huracán está vigente para la isla de Andros.Una advertencia de tormenta tropical está vigente desde el norte de Deerfield Beach hasta Sebastian Inlet en Florida. Una vigilancia de tormenta tropical está vigente desde el norte de Golden Beach hasta Deerfield Beach.
El huracán Dorian continúa acercándose poco a poco al noroeste de Bahamas con 'marejadas ciclónicas que amenazan la vida, vientos huracanados y fuertes lluvias', dijo el NHC.
NOAA's #GOESEast spotted lightning in the eye of #HurricaneDorian this morning. The now catastrophic Cat. 5 storm is expected to bring life-threatening storm surge and very heavy rainfall to the Abaco Islands and Grand Bahama through Monday. More: https://t.co/hGBv8RfDYM pic.twitter.com/dDxjoQjoJD
- NOAA Satellites (@NOAASatellites) September 1, 2019