Por AFP
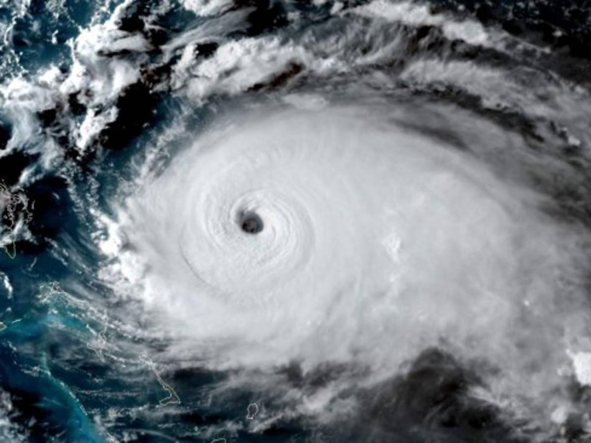
Las islas Bahamas se aprestan para recibir el domingo el impacto del huracán Dorian, de categoría 4, que luego se espera que enfile rumbo la costa sureste de Estados Unidos.
El Centro Nacional de Huracanes (NHC), con sede en Miami, advirtió que se espera que el potente ciclón impacte duramente en el noreste de las Bahamas.
Een su boletín de las 21H00 GMT, el NHC agregó que Dorian 'permanecerá como huracán extremadamente peligroso durante cinco días', aunque indicó que luego de su viraje, no está claro cuándo y con qué intensidad impactará en la costa de Estados Unidos.
En efecto, los meteorólogos habían dado cuenta más temprano de un cambio de curso del huracán y 'que la nueva ruta pronosticada no excluye que Dorian toque tierra en la costa de Florida, ya que grandes porciones de la costa permanecen en el cono de la incertidumbre'.
No obstante, se espera que el fenómeno siga avanzando hacia el oeste y gire hacia el norte, hacia Carolina del Sur y Carolina del Norte, a medida que se acerque a la costa este de Florida el lunes, dijo el centro.
En Gran Bahama, miles de personas evacuaron de las zonas don de se espera impacte Dorian, que conlleva vientos de 240 km/h, con ráfagas incluso más fuertes, con lo que está próximo a alcanzar la categoría 5, la máxima de la escala Saffir-Simpson.
Yasmin Rigby, residente de Freeport, principal ciudad de la isla, dijo a la AFP que 'la gente se está yendo de los extremos este y oeste, temiendo lo peor'.
Los escaparates de los comercios estaban 'ya casi vacíos', y desde el viernes las casas y comercios estaban précticamente cerradas.
Minnis dijo en una conferencia de prensa que la tormenta era potencialmente fatal.
'Quienes se niegan a evacuar se encuentran en un gran peligro... no pongan su vida y la de sus seres queridos en un riesgo innecesario'.
Con la ruta de la tormenta aún incierta, los residentes costeros de Florida no tienen órdenes de evacuación pero se abastecen de alimentos, agua y otros suministros, preparándose para huir de sus hogares.
El gobernador de Florida, Ron DeSantis, también urgió el viernes a los residentes a prepararse para un 'evento de varios días'.
'Estamos anticipando una gran cantidad de inundaciones', dijo DeSantis. 'Instamos a todos los floridanos a que tengan siete días de alimentos, medicinas y agua'.
La Guardia Nacional de Florida dijo que unos 2.000 miembros del servicio se habían movilizado hasta el momento y otros 2.000 se desplegarán este sábado.
'Se está moviendo y es muy difícil de predecir', dijo Trump en un tuit este sábado, señalando que Georgia, Carolina del Sur y Carolina del Norte ahora podrían estar en primera línea.
'Es uno de los más grandes y fuertes (y realmente amplios) que hemos visto en décadas. ¡Cuídense!', escribió.
Trump declaró un estado de emergencia en Florida autorizando asistencia federal para complementar los esfuerzos estatales y locales.
Georgia, otro estado del sudeste que podría estar en el camino de la tormenta, declaró estado de emergencia para 12 condados.
El gobernador Brian Kemp dijo que el huracán 'tenía el potencial de producir impactos catastróficos en los ciudadanos', en toda la región costera sureste de los Estados Unidos.
La Guardia Costera estadounidense dijo que las embarcaciones comerciales que navegan por el océano deberían hacer planes para abandonar el puerto del sur de Florida.
Varias escuelas anunciaron que las clases se cancelarían al menos hasta el martes.
El Aeropuerto Internacional de Orlando dijo que detendría sus actividades a las 02H00 (06H00 GMT) del lunes 'por precaución'. Orlando es el principal aeropuerto para el cercano Disney World.
Las islas Bahamas se aprestan para recibir el domingo el impacto del huracán Dorian, de categoría 4, que luego se espera que enfile rumbo la costa sureste de Estados Unidos.
El Centro Nacional de Huracanes (NHC), con sede en Miami, advirtió que se espera que el potente ciclón impacte duramente en el noreste de las Bahamas.
Een su boletín de las 21H00 GMT, el NHC agregó que Dorian 'permanecerá como huracán extremadamente peligroso durante cinco días', aunque indicó que luego de su viraje, no está claro cuándo y con qué intensidad impactará en la costa de Estados Unidos.
En efecto, los meteorólogos habían dado cuenta más temprano de un cambio de curso del huracán y 'que la nueva ruta pronosticada no excluye que Dorian toque tierra en la costa de Florida, ya que grandes porciones de la costa permanecen en el cono de la incertidumbre'.
No obstante, se espera que el fenómeno siga avanzando hacia el oeste y gire hacia el norte, hacia Carolina del Sur y Carolina del Norte, a medida que se acerque a la costa este de Florida el lunes, dijo el centro.
En Gran Bahama, miles de personas evacuaron de las zonas don de se espera impacte Dorian, que conlleva vientos de 240 km/h, con ráfagas incluso más fuertes, con lo que está próximo a alcanzar la categoría 5, la máxima de la escala Saffir-Simpson.
Yasmin Rigby, residente de Freeport, principal ciudad de la isla, dijo a la AFP que 'la gente se está yendo de los extremos este y oeste, temiendo lo peor'.
Los escaparates de los comercios estaban 'ya casi vacíos', y desde el viernes las casas y comercios estaban précticamente cerradas.
'Un gran peligro'
El primer ministro de Bahamas, Hubert Minnis, advirtió el viernes a los ciudadanos que afrontarán un 'huracán poderoso y potencialmente mortal' e instó a desalojar el área.Minnis dijo en una conferencia de prensa que la tormenta era potencialmente fatal.
'Quienes se niegan a evacuar se encuentran en un gran peligro... no pongan su vida y la de sus seres queridos en un riesgo innecesario'.
Con la ruta de la tormenta aún incierta, los residentes costeros de Florida no tienen órdenes de evacuación pero se abastecen de alimentos, agua y otros suministros, preparándose para huir de sus hogares.
El gobernador de Florida, Ron DeSantis, también urgió el viernes a los residentes a prepararse para un 'evento de varios días'.
'Estamos anticipando una gran cantidad de inundaciones', dijo DeSantis. 'Instamos a todos los floridanos a que tengan siete días de alimentos, medicinas y agua'.
La Guardia Nacional de Florida dijo que unos 2.000 miembros del servicio se habían movilizado hasta el momento y otros 2.000 se desplegarán este sábado.
'Muy difícil de predecir'
El presidente Donald Trump, cuyo club de golf Mar-a-Lago se encuentra en Palm Beach en Florida, dijo que Dorian 'parecía que podría ser un monstruo absoluto' y canceló un viaje a Polonia para concentrarse en los preparativos para la tormenta.'Se está moviendo y es muy difícil de predecir', dijo Trump en un tuit este sábado, señalando que Georgia, Carolina del Sur y Carolina del Norte ahora podrían estar en primera línea.
'Es uno de los más grandes y fuertes (y realmente amplios) que hemos visto en décadas. ¡Cuídense!', escribió.
Trump declaró un estado de emergencia en Florida autorizando asistencia federal para complementar los esfuerzos estatales y locales.
Georgia, otro estado del sudeste que podría estar en el camino de la tormenta, declaró estado de emergencia para 12 condados.
El gobernador Brian Kemp dijo que el huracán 'tenía el potencial de producir impactos catastróficos en los ciudadanos', en toda la región costera sureste de los Estados Unidos.
La Guardia Costera estadounidense dijo que las embarcaciones comerciales que navegan por el océano deberían hacer planes para abandonar el puerto del sur de Florida.
Varias escuelas anunciaron que las clases se cancelarían al menos hasta el martes.
El Aeropuerto Internacional de Orlando dijo que detendría sus actividades a las 02H00 (06H00 GMT) del lunes 'por precaución'. Orlando es el principal aeropuerto para el cercano Disney World.