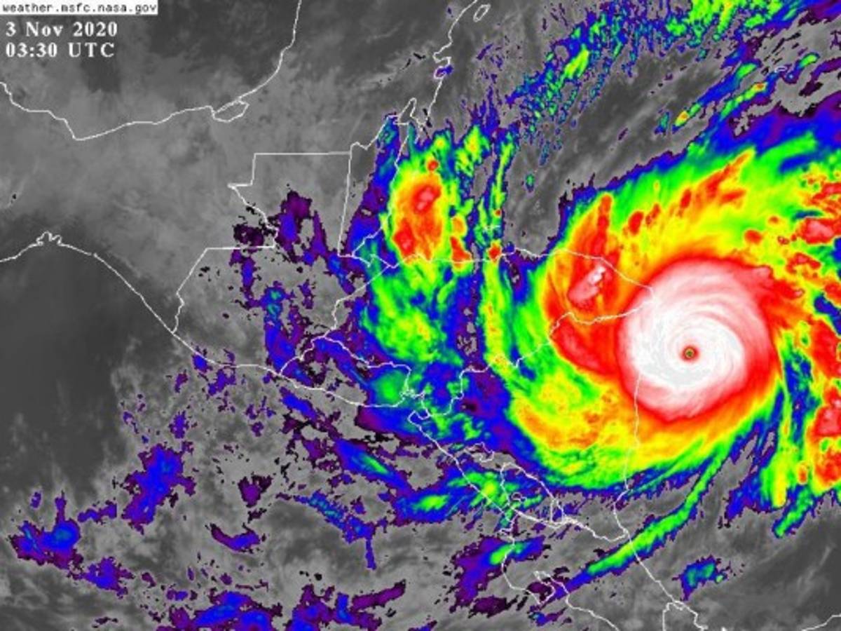
El ciclón ganó fuerza en las aguas cálidas del Caribe hasta alcanzar la categoría 4 en la escala de cinco de Saffir-Simpson, con vientos máximos sostenidos de 240 km/h. El NHC advirtió que Eta podría fortalecerse más antes de tocar tierra.
Su centro se localizaba al noreste de Bilwi (también conocido como Puerto Cabezas), en el Caribe Norte de Nicaragua, según el centro de huracanes con sede en Miami.
Se prevé que Eta, que se desplaza a 15 km/h, toque tierra entre las 22H00 locales de lunes (04H00 GMT) y la madrugada del martes en el Caribe Norte de Nicaragua, habitada por poblaciones indígenas y afrodescendientes.
'Está lloviendo fuerte, con mucho vientos. El mar está bravo, estamos con miedo', dijo a la AFP el maestro miskito Kevin Lackwood, de 22 años, de la comunidad costera de Prinzapolka, donde solo quedaron los hombres a cuidar las casas.
Lackwood dijo que 'si la situación se pone más peligrosa' abandonarán la zona y que las mujeres y niños de esta comunidad de unos 800 habitantes ya evacuaron a comunidades alejadas de la costa.
En Bilwi y las comunidades adyacentes viven unas 100.000 personas, en su mayoría indígenas dispersos en poblados que podrían ser afectados por el huracán, como Tuapí, Krukira, Sandy Bay, Cabo Gracias a Dios, Prinzapolka, Wawabar, Karatá, Halower, Wauhta, Kamwatla y Walpalsiksa.
'Hemos logrado evacuar ya a más de 3.000 familias con la participación activa de nuestro ejército de las comunidades' caribeñas, como Prinzapolka y los Cayos Miskitos, afirmó la vicepresidenta y portavoz oficial, Rosario Murillo.
Los comunitarios son trasladados a casas en zonas altas y seguras, y unos 6.000 están en refugios, indicó el gobierno.
Tanto Nicaragua como Honduras, los países con mayor riesgo, decretaron alerta roja ante la llegada del ciclón.
El gobierno nicaragüense declaró alerta roja (máxima) en el Caribe Norte y amarilla (de alerta) en los departamentos norteños de Jinotega, Nueva Segovia, Chinandega.
Vientos, inundaciones, deslaves
El NHC advirtió que se esperan 'vientos catastróficos, inundaciones repentinas y deslizamientos de tierra en partes de Centroamérica'.
La Comisión Permanente de Contingencias (Copeco) de Honduras emitió alerta roja para los departamentos caribeños de Gracias a Dios, Atlántida, Colón e Islas de la Bahía, así como Olancho (oeste) ante la posibilidad de fuertes lluvias por el ciclón.
Ante las incidencias suscitadas por la llegada del #huracánETA en territorio nacional, la Décima Región Militar se encuentra en apresto en el departamento de Olancho, donde se realiza el monitoreo de los ríos.
?https://t.co/H8F5bXkk4R pic.twitter.com/JvXklNwjCt- Fuerzas Armadas de Honduras (@FFAAHN) November 3, 2020
El norte de Honduras registró intensos aguaceros con crecidas de ríos y fuertes oleadas en la costa norte, y el mal tiempo obligó a cerrar el aeropuerto de la ciudad caribeña de La Ceiba.
En Guatemala se esperan lluvias que podrían provocar 'derrumbes, deslizamientos, crecidas de ríos e inundaciones por la saturación de agua que existe en los suelos', según David León, portavoz de la Coordinadora Nacional para la Reducción de Desastres (Conred).
El Salvador elevó el nivel de alerta de amarillo a naranja, lo que implica realizar evacuaciones preventivas en las zonas de alto riesgo a deslizamientos de tierra o inundaciones, según el ministro de Gobernación, Mario Durán.
En Nicaragua, el director del Sistema Nacional para la Prevención, Mitigación y Atención de Desastres (Sinapred), Guillermo González, advirtió que 'pueden haber daños materiales porque las viviendas son muy frágiles'.
Temor en Nicaragua
'El ojo del huracán viene directamente sobre Bilwi y lo tenemos cerca. Hay cierta preocupación de la población, hay muchas zonas inundables, la gente está empacando sus bienes y busca cómo salir a albergues', dijo a la AFP Limbort Bucardo, residente de esa localidad.
Sus pobladores esperaban resguardados en sus casas al ciclón, tras abastecerse de alimentos, lámparas, radios, plástico para proteger sus enseres.
En tanto, Kevin González, miembro de brigadas voluntarias que trabajan en la movilización de personas, advirtió que 'las casas son totalmente vulnerables, son casas viejas de madera forradas de plástico' que no van a resistir los fuertes vientos.
Entrada la noche, las lluvias y vientos aumentaron su fuerza sobre la ciudad, mientras que en algunas zonas no había electricidad.
El gobierno nicaragüense informó de que envió un cargamento de 88 toneladas de alimentos al Caribe Norte, y cuadrillas para atender emergencias con el tendido eléctrico, las comunicaciones, infraestructura y salud. Dos aviones de la fuerza aérea transportaron personal militar y equipos médicos para atender la emergencia.
#Loúltimo Momentos cuando llegaron a #Bilwi evacuados de Wawabar/ Más en https://t.co/c5dRYgSiMV pic.twitter.com/LghSUBbK42
- 100%NOTICIAS (@100noticiasni) November 3, 2020